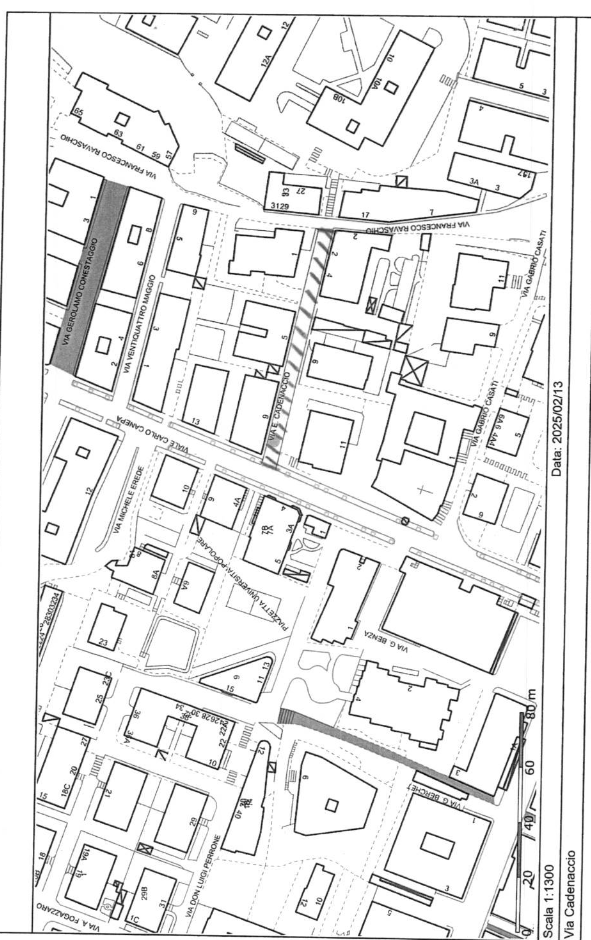
Aster informa: via Cadenaccio lavori di fresatura e asfaltatura del manto stradale in orario diurno

Dal 24/02/2025 per la durata di una settimana circa



Data:
Tempo di lettura:

1 min

Descrizione

Aster informa: via Cadenaccio lavori di fresatura e asfaltatura del manto stradale in orario diurno ( vedi stralcio planimetrico) a partire dal giorno 24 febbraio per la durata di una settimana circa.
 

Stralcio planimetrico via Cadenaccio

 

 

 

 

A cura di

Direzione

Direzione Municipale VI Medio Ponente

Le Direzioni Municipali sono strutture che gestiscono l’erogazione dei servizi nel loro territorio. Le Direzioni comunali competenti esercitano funzioni di coordinamento e controllo su queste erogazioni per garantire omogeneità territoriale.
Vai alla pagina
Ultimo aggiornamento

18 Febbraio 2025

Apri Zenia, l'assistente virtuale Apri Zenia, l'assistente virtuale